City Properties for Sale

Northern Plains Commerce Centre Addition (All)

Contact: Bismarck Mandan Chamber EDC 

701-223-5660 

Effective: 4/05/2006

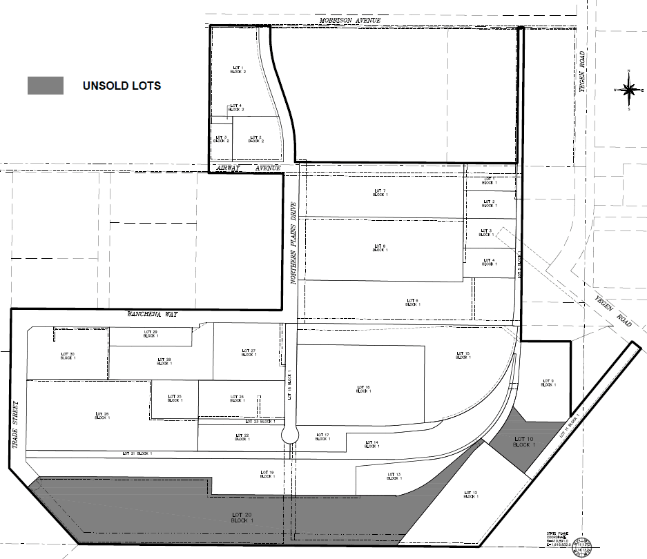
Northern Plains Commerce Centre Second Addition

2909 East E Avenue

Contact: Jason Tomanek, City Administrator

701-355-1300

Effective: 2/23/2010

Map showing the property located at 2909 East E Avenue.

3440 East Divide Avenue

Contact: Jason Tomanek, City Administrator 

701-355-1300

Effective: 1/28/2015

Map showing the property located at 3440 East Divide Avenue.

718 Boehm Drive 

Contact: Jason Tomanek, City Administrator 

701-355-1300

Effective: 1/10/2017

Map showing the property located at 718 Boehm Drive.

1014 Parkerplum Drive

Contact:  Jason Tomanek, City Administrator

701-355-1300

Effective: 9/22/2020


Map showing the property located at 1014 Parkerplum Drive.

2901 Hamilton Street

Contact: Jason Tomanek, City Administrator

701-355-1300

Effective: 4/25/2023

Map showing the property located at 2901 Hamilton Street.

730 Mustang Drive

Contact: Jason Tomanek, City Administrator

701-355-1300

Effective: 11/6/2023

730 Mustang Drive